Climate and weather experts say some of 2014’s extreme weather events can be linked with human activities, including the global warming caused by greenhouse gases.
In a report released this week, researchers specifically identified tropical cyclones in the central Pacific, heavy rainfall in Europe, drought in East Africa, and stifling heat waves in Australia, Asia, and South America with human activities, international media reported.
“For each of the past four years, this report has demonstrated that individual events, like temperature extremes, have often been shown to be linked to additional atmospheric greenhouse gases caused by human activities, while other extremes, such as those that are precipitation related, are less likely to be convincingly linked to human activities,” said Thomas R. Karl, L.H.D., director of NOAA’s National Centers for Environmental Information.
The report, “Explaining Extreme Events of 2014 from a Climate Perspective,” was published by the Bulletin of the American Meteorological Society, with National Oceanic and Atmospheric Administration scientists serving as lead editors, according to CBC.
“As the science of event attribution continues to advance, so too will our ability to detect and distinguish the effects of long-term climate change and natural variability on individual extreme events,” Karl said. “Until this is fully realized, communities would be well-served to look beyond the range of past extreme events to guide future resiliency efforts.”
The report examined 28 individual extreme weather events to see if they fell outside the range of natural climate variability.
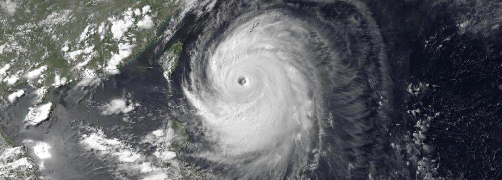
In North America, human-induced climate change has increased the overall probability of wildfires in California, though the study didn’t find a direct link to 2014 fires. The study also suggests that tropical cyclones making landfall in Hawaii are much more likely because of human-induced climate change.
Around the world, the scientists found the Argentinean heat wave of December 2013 was made five times more likely because of human-induced climate change, while extreme rainfall in the Cévennes Mountains in southern France was three times more likely than in 1950 due to climate change.
Drought in East Africa may also be part of the global warming pattern, but it’s not as clear whether human activities worsened the drought in the Middle East. Global warming has also increased chances for extreme heat across parts of Asia, and also fueled weather conditions that led to record snowfall in parts of the Himalaya.
Overall probability of California wildfires has increased due to human-induced climate change, however, no specific link could be made for the 2014 fire event.
Natural Causes
Though cold winters still occur in the upper Midwest, they are less likely due to climate change. Cold temperatures along the eastern US were not influenced by climate change, and eastern US winter temperatures are becoming less variable.
Tropical cyclones that hit Hawaii were substantially more likely because of human-induced climate change. Extreme 2013-14 winter storm season over much of North America was driven mainly by natural variability and not human caused climate change.
Human-induced climate change and land-use both played a role in the flooding that occurred in the southeastern Canadian Prairies.
Still, the researchers argued the study does represent strong evidence that human-induced climate change can make certain types of weather events more likely.
“Understanding our influence on specific extreme weather events is ground-breaking science that will help us adapt to climate change,” said report lead editor Stephanie C. Herring at the NOAA’s National Centers for Environmental Information, Tech Times reported.
Center Director Tom Karl said he agreed with that.
“As the science of event attribution continues to advance, so too will our ability to detect and distinguish the effects of long-term climate change and natural variability on individual extreme events,” he said.
It is hoped the study’s findings will help leaders and planners around the globe protect their populations against the dangerous impacts of extreme weather, the researchers said.
“Some of these events are climate surprises,” said Marty Hoerling, a report co-editor from NOAA’s Earth System Research Laboratory.
“And we should be prepared to be better equipped to deal with such surprises,” he said.


